وصل الإعصار “ميليسا”، الذي خفض تصنيفه إلى الفئة الثالثة، إلى كوبا، اليوم الأربعاء، متسببا في تشريد أكثر من 700 ألف شخص، بعدما حرم نصف مليون من الكهرباء في جامايكا، التي أعلنت “منطقة منكوبة”.
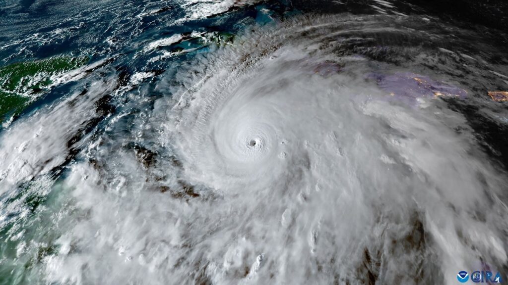
وتتراوح شدة إعصار “ميليسا” بين الفئتين الثالثة والخامسة، التي تعد أعلى فئة على مقياس سافير-سمبسون للأعاصير، والعاصفة مصحوبة برياح تجاوزت اليوم 200 كيلومتر في الساعة، بحسب المركز الوطني الأمريكي للأعاصير.
وأفاد المركز بأن “الإعصار ميليسا، الخطير جدا، وصل إلى الساحل الجنوبي الشرقي لكوبا”، ومن المتوقع أن يضرب جزر البهاماس والمنطقة المحيطة ببرمودا.
وبلغت سرعة الرياح في جامايكا، أمس الثلاثاء، 300 كيلومتر في الساعة، ما جعل “ميليسا” أقوى عاصفة استوائية لعام 2025 على مستوى العالم، بحسب تحليل لبيانات من الإدارة الوطنية الأمريكية للمحيطات والغلاف الجوي.
وآخر إعصار مماثل لـ”ميليسا” من ناحية سرعة الرياح (298 كلم/ساعة) وانخفاض الضغط الجوي (892 مليبار) هو الإعصار “ماوار” (2023). ويعد إعصار “ميليسا” أيضا أقوى عاصفة تضرب جامايكا منذ بدء عمليات الرصد والتتب ع المناخي في البلاد.
وأفادت السلطات الكوبية بإجلاء 735 ألف شخص، لا سيما في مقاطعات سانتياغو دي كوبا وهولغوين وغوانتانامو. كما أعلنت “حالة التأهب” في ست مقاطعات في شرق الجزيرة.
وبحسب موقع “كوبا ديبيت”، “تجرف المياه كل ما في طريقها” في سلسلة جبال سييرا مايسترا. وفي عدد من التجمعات الأخرى في المنطقة، غمرت المياه مناطق شاسعة منخفضة العلو “غير أن الظلام وصعوبة التحرك حالا دون تحديد ما إذا كان هناك خسائر”.
وفي هايتي الواقعة شرق كوبا، أمرت السلطات بإغلاق المدارس والمتاجر والمؤسسات الحكومية.
وقبل وصوله إلى اليابسة في جامايكا، أودى الإعصار بثلاثة أشخاص هناك، بالإضافة إلى ثلاثة آخرين في هايتي وشخص واحد في جمهورية الدومينيكان.
وكان آخر إعصار قوي ضرب جامايكا هو “غيلبرت” في شتنبر 1988 وخلف 40 قتيلا وألحق أضرارا جسيمة، رغم أنه أقل قوة من “ميليسا”.








